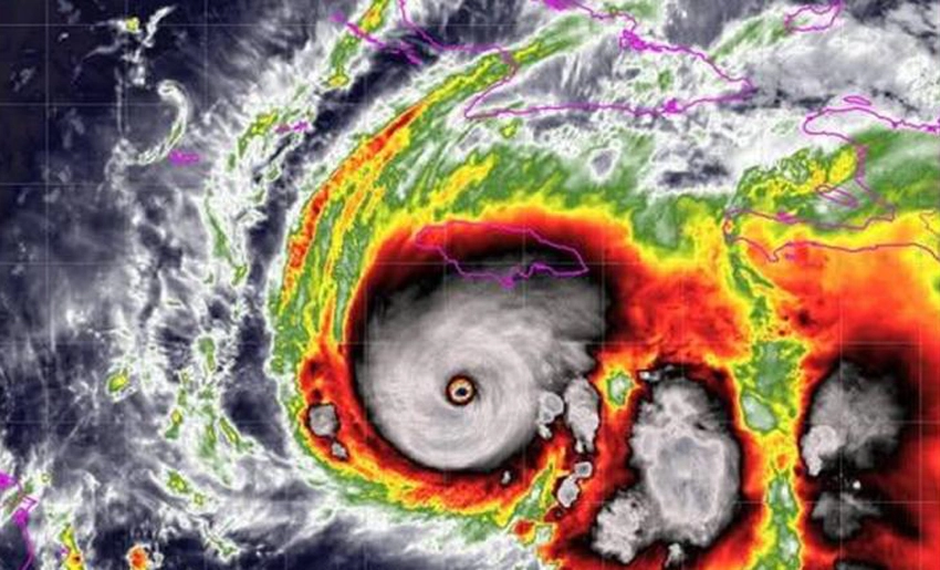
Given the proximity of the hydrometeorological event Melissa to our country. The education sector in the province of Holguin launched a set of strategic actions. That are reinforced by the declaration of a cyclone alert phase for the eastern provinces today.
The plan, which prioritizes the protection of human life and resources. It follows the guidelines of the National Civil Defense Staff and ranges from the temporary suspension of classes to preparations for post-event recovery.
Moreover this decision, adopted as a precautionary measure, seeks to ensure that students, teachers, and sector workers are in safe places. Before weather conditions deteriorate, prioritizing the protection of life above all else.
Luis Felipe Batista Rodríguez, General Director of Education in the province, stated that, in parallel with the suspension of classes. Efforts are being carried out to protect resources. The educational material base, and the integrity of the more than 1,300 educational institutions in the province.
He highlighted the special attention provided to 120 of these centers. Also which have enrollments between one and five children and are located in rural areas with difficult access.
Regarding the student mobilization, Batista Rodríguez reported that more than four thousand students have safely returned to their homes. This group includes students from sports and arts schools, and the University of Holguin.
As part of these measures, eight Namibian university students were preemptively relocated to the Oscar Lucero Moya campus of the University of Holguin. Futhermore where all conditions were guaranteed for their care and safety during the passage of Hurricane Melissa.
Likewise, protection was provided for the 78 students from other provinces studying at the Dr. Antonio Núñez Jiménez University of Moa. Ensuring that none would be left unprotected from the threat of the hurricane.
The official indicated that 243 evacuation centers have been set up throughout the province. Also 91 of which are schools that will shelter people, with the necessary resources and educational personnel who will remain at the forefront of this crucial task.
With an eye toward the recovery phase, the Pedagogical Brigades are being prepared. Together with the Culture sector, they will have the mission of providing psychological support to communities once Hurricane Melissa passes. Helping them cope with the potential emotional effects of the event.
Finally, he confirmed that the resumption of the school year is under constant review and will occur once the conditions of each educational center are assessed.
In this scenario, it is vital that the entire population maintain a constant state of alert and diligently follow the guidelines of the Civil Defense. Only through prevention and responsible collective action can we minimize risks and protect what is most precious: the lives of our families and our community.
- Holguin’s education sector takes action in response to the threat of Hurricane Melissa - 27 de October de 2025
- Educators on internationalist mission in Honduras arrive in Holguin - 24 de October de 2025
- Event for the 21st anniversary of the Art Instructors Brigade - 21 de October de 2025