reinauguración escuela en melones holguin

Reinauguran en comunidad holguinera de Melones escuela primaria

Autoridades del Partido Comunista de Cuba (PCC) y de las Fuerzas Armadas Revolucionarias (FAR) participaron en…

Brigada de apoyo de Etecsa en Holguín

Despiden en Holguín a brigadas de apoyo de Etecsa tras paso del huracán Melissa

En un acto de reconocimiento celebrado en el Complejo Monumentario Plaza de la Revolución Calixto García,…

Holguín, regresa, calma, paso, huracán Melissa

Holguín regresa a la calma tras el paso de huracán Melissa

El Estado Mayor Nacional de la Defensa Civil informó este lunes la transición a la normalidad…

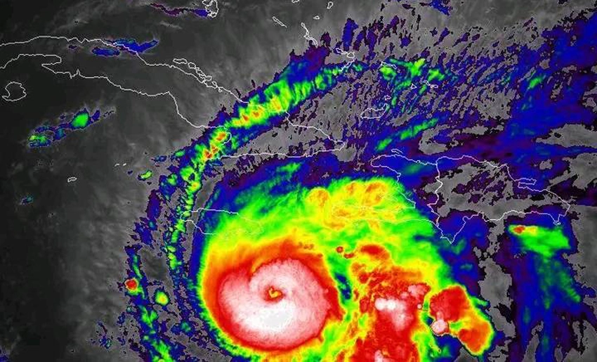
Imagen satelital de Huracán Melissa

Cierra temporada ciclónica 2025

La temporada ciclónica 2025 del Atlántico cierra este 30 de noviembre con registros históricos, al sumar…

Díaz-Canel en Mayarí, Holguín

Presidente cubano visita municipio de Mayarí

El Presidente del Consejo de Defensa Nacional, Miguel Díaz-Canel Bermúdez, intercambió este miércoles con vecinos de…

día, Naranjo Dulce, comida, llegó, cielo, Holguín, damnificados, huracán Melissa, Cuba

El día que a Naranjo Dulce la comida le llegó desde el cielo

Cuando las hélices del helicóptero parecían cortar la copa de los árboles en Naranjo Dulce, Holguín,…

reparación de colchones en diferentes municipios afectados por las inundaciones provocadas por el huracán Melissa en Holguin

Priorizan en Holguín arreglo de colchones a afectados por Melissa

La Empresa Provincial de Industrias Locales (Avil) de Holguín participa en la reparación de colchones en…

Estudiantes, profesores, personal no docente y especialistas de varios sectores en Santiago de Cuba

Continúa recuperación de la Universidad de Oriente gracias al esfuerzo conjunto

Estudiantes, profesores, personal no docente y especialistas de varios sectores en Santiago de Cuba se unen…

Díaz-Canel en Sagua de Tánamo, Holguín

Chequea Díaz-Canel recuperación en Sagua de Tánamo (+Fotos)

El Presidente del Consejo de Defensa Nacional, Miguel Díaz-Canel Bermúdez, llegó este viernes hasta el municipio…

Entrega de colchones a damnificados por Melissa en Holguín

Donan colchones a damnificados por Melissa en Yaguabo

Con la distribución de 60 colchones personales y ocho de cuna avanzan las acciones de recuperación…